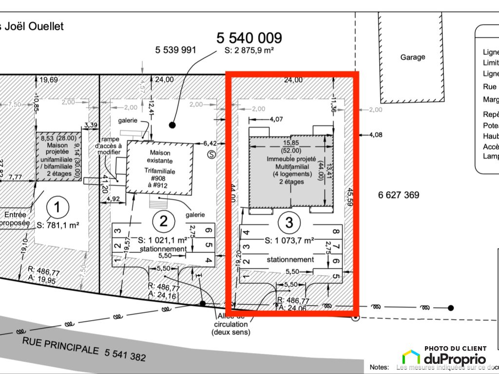
Lot dimensions 11,557 ft² (1,073.68 m²)

Owners’ comments

Automated translation

Land ready to build Rue Principale, Saint-Côme
Ideal for Duplex, Single-family or Commercial

A rare opportunity for investors, builders and developers?! This land, located in a rapidly developing area of Lanaudière, offers great potential for a residential or commercial project

.

Characteristics of the land:

-Flat land and easy to access
-Direct facade on Main Street, optimal visibility -Land already surveyed
-Land already surveyed -Park
taxes paid -Municipal
services available: aqueduct and sewer
-Zoning 828-A: Duplex, Bi-family, Semi-detached, Single-family or Commercial (professional services)


Strategic location:

  • Main street, entrance
    to the village of Saint-Côme 12 minutes from the Val Saint-Côme ski center Within
    walking distance of shops, restaurants and municipal services Easy
    access and excellent visibility for a commercial or residential project

  • Contact:Joel 514-235-6126

    Complete Description
    Complete Description

    Property features

    Asking Price
    $88,500
    Courtyard orientation
    North-East
    Lot's municipal evaluation
    $45,100

    Zoning:

    • Office
    • Services

    Lot description:

    • Flat geography
    • Aqueduct
    • electricity
    • sewer
    • building lot

    Soil:

    • Gravel
    • Sand
    • Black soil

    Location:

    • Near park
    • No backyard neighbors

    Near Commerce:

    • Supermarket
    • Drugstore
    • Bank
    • Restaurant
    • Shopping Center
    • Bar

    Near Health Services:

    • Medical center
    • Health Center (spa / massage)

    Near Educational Services:

    • Day nursery
    • Kindergarten
    • Elementary school
    • High School

    Near Recreational Services:

    • Golf resort
    • Library
    • ATV trails
    • Ski resort
    • Cycling path

    Complete list of property features

    The steps involved in buying a property

    Could this property be “the one”? Here’s an overview of the steps involved in becoming the owner. These steps and the legal implications remain the same whether the property is purchased from an individual or through a broker.

    1
    Financing

    One of the first things to do when looking for a property is to get a mortgage preapproval from a financial institution. The goal is to determine borrowing capacity, and as a result, the price range to be looking in.

    2
    Offer to purchase

    The property suits the budget and needs? Time to submit an offer to purchase! This document sets out the price, the elements included in the sale, the possession date, the conditions of purchase and all other information relevant to the sale.

    3
    Conditions of purchase

    The offer to purchase generally includes conditions. The most common are the property passing an inspection, the buyer providing proof of financing and the buyer selling their own property. Once the listed conditions are met, the property is considered sold.

    4
    Property transfer

    The last step is to see a notary, who is generally chosen by the buyer. This real estate professional drafts the deed of sale and ensures that the interests of all parties involved are respected.

    Once the deed of sale is notarized, the new owner gets the keys to the home. All that’s left is to move in!

    More details on these steps

    See our All about buying section.

    Download the legal documents that you need

    Go to your DuProprio account and access free copies of the legal documents you need for a successful real estate transaction.

    See documents

    Don’t have an account yet? Register

    $88,500

    Residential Lot for sale

    rue Principale St-Côme Lanaudière

    No. 1114551

    Are you interested in this property?
    Here’s how to contact the owner
    Send a message

    Are you a real estate agent?

    This person mentioned they are registered with the National Do Not Call List (DNCL).
    NB: The owner requests that you not solicit them for the purpose of getting a listing agreement to sell their property. Thank you for respecting their choice to sell without an agent.
    Are you interested in this property?
    Here’s how to contact the owner
    Send a message

    Are you a real estate agent?

    This person mentioned they are registered with the National Do Not Call List (DNCL).
    NB: The owner requests that you not solicit them for the purpose of getting a listing agreement to sell their property. Thank you for respecting their choice to sell without an agent.